Author: Andrea Przygonski
-

Trump singles out Albanese for praise at dinner
US President Donald Trump has singled out Australian Prime Minister Anthony Albanese for praise, as the two clinked glasses at a dinner with other world leaders. Albanese had arguably the best seat in the house next to Trump at the gathering at the Hilton Hotel in Gyeongju in South Korea late on Wednesday (local time).…
-

Young cricketer dies after horrific training injury
Specialist paramedics were called to the Wally Tew Reserve in Ferntree Gully, in Melbourne’s outer east, at 4.45pm on Tuesday after the 17-year-old was struck in the neck by a ball. The Ferntree Gully Cricket Club confirmed on Thursday the death of beloved player Ben Austin. “We are absolutely devastated by the passing of Ben,…
-

No Joy, only Division: It’s just the stupidest stupid we’ve yet seen
We are in, quite possibly, the stupidest timeline. A self-processed former “punk” using her position in Parliament to criticise the Prime Minister for wearing a Joy Division T-shirt is stupid-stupid, even for Auspol, which long ago shifted the bar from low to subterranean. To borrow from Shakespeare, it is a tale told by an idiot,…
-

Why the consumer watchdog is suing Microsoft
Tech giants have invested billions into AI – and are looking for ways to get a return. So when Microsoft offered its customers its new AI function Copilot recently, it told them they’d need to pay a higher price for their subscription – or cancel. AI was now part of the deal, whether they wanted…
-

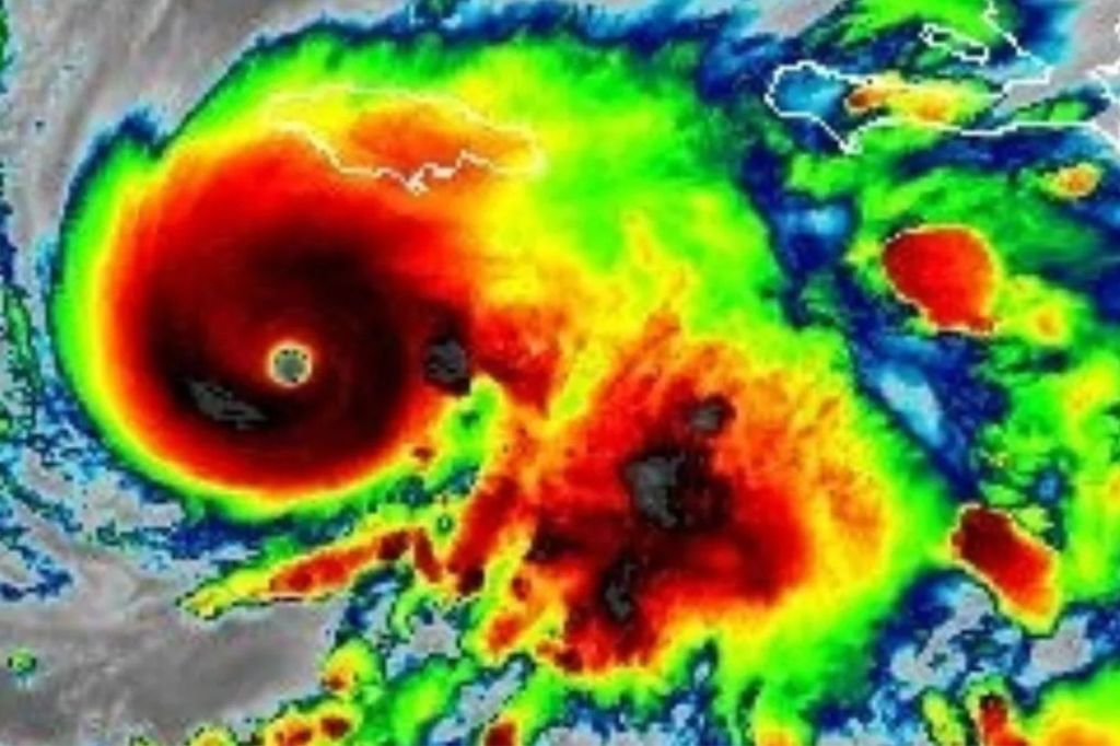
‘Storm of the century’: Hurricane makes landfall as category five
The most powerful hurricane in 174 years of records in Jamaica slammed into the south-west of the island nation on Wednesday morning (AEDT). Melissa made landfall near the town of New Hope, packing maximum sustained winds of 295 km/h. The US National Hurricane Centre warned that “total structural failure” was likely in Melissa’s path. “The…
-

Albanese government gets F on its integrity report card
The Albanese government has fared poorly on its integrity report card, failing key democratic marks including safeguarding against jobs for political mates and undue influence. The Centre for Public Integrity has urged the federal government to reset its course, accusing it of being less transparent and accountable than the Morrison government. It failed in its…
-

Your gluten sensitivity might be something else entirely, new study shows
Social media and lifestyle magazines have turned gluten – a protein in wheat, rye and barley – into a dietary villain. Athletes and celebrities have promoted gluten-free eating as the secret to better health and performance. But our review recently published in The Lancet published challenges that idea. By examining decades of research, we found…
-

How profit beats safety in childcare
When Joshua Brown was arrested for allegedly abusing children at childcare centres across Melbourne, it exposed a horrifying reality – patchwork regulation and an understaffed, profit-driven industry is failing children. Months on, as state and federal governments try to deal with the fallout – and as the Albanese government pumps record investment into the early…

